Dampkøkkener i Danmark

af Jerry Meyer

Ordet folkekøkken kendes af mange. Det er, med god grund, ikke forbundet med luksus. Folkekøkkener havde til opgave at levere nærende og billig mad til den fattigste del af befolkningen. Ideen til disse køkkener kom fra greven af Rumford, Benjamin Thompson, der i slutningen af det 18. århundrede gav anvisning på tilberedning af billige næringsmidler. I begyndelsen af det 19. årh. oprettedes især i Tyskland talrige folkekøkkener.

I Danmark blev et køkken oprettet i 1856. Om starten på disse dampkøkkener har Vilhelm Bergsøe skrevet i "Danske Forenings-Tegn udstedte af Gilder, Corporationer og Lav fra Middelalder til Nutid" i 1888, at allerede tidligere havde den i udlandet anvendte dampkogning nået os, og i 1856 oprettedes "Kjøbenhavns Dampkøkken", beliggende i Regnegade, af direktør Hellmann. I 1859 anlagdes en lignende anstalt i Odense, væsentligt ved senere etatsråd Lotzes initiativ, og samme år grundlagdes et i Slagelse af købmand H. M. Daugaard. Også Århus fik et dampkøkken, det lå på det skæbnesvangre sted "i Graven". Dette ejedes af L. C. Dahlerup, og omtrent samtidig anlagde J. F. Johansen & Co. et dampkøkken i Studiestræde nr. 88, omtrent hvor den gamle københavnske badeanstalt lå. Et tredje oprettedes på Christianshavn, et fjerde på Nørrebro, og endelig afsluttedes rækken med Borgergades Dampkjøkken 1863. Fra de mange dampkøkkener er meget lidt bevaret. Her er de mange betalingstegn, samlet af møntsamlere, et vidnesbyrd om en svunden socialhistorie.

I denne artikel vil dampkøkkenerne samt tegnene blive beskrevet. I Svendborg & Omegns Museum ligger i dag en repræsentativ samling af pengetegn fra dampkøkkener.

Fra kaffe- og spisehuse findes også tegn. Disse er meget sjældne. Vilhelm Bergsøe omtaler specielt tegnene fra Dronningens Tværgade, som er noteret under "Kjøbenhavnske Kaffe- og Spisehuse". I dag kendes disse tegn i mange samlinger, men et "sæt" på 19 stykker er meget sjældent.

I 1883 åbnede et aktieselskab et kaffe- og spisehus, og i 1896 drev dette selskab fem spisehuse. Dengang kostede to retter mad med brød 38 øre. I slutningen af århundredet dukkede mange spisehuse op. Suppekøkkenerne kunne levere en liter suppe med kød og kartofler ud af huset for ti øre.

År 1900 kostede suppekød 50 øre pr. pund hos en slagter, et helt rugbrød kostede 45 øre, mens en årsløn for en håndværker var godt 500 kr. Gad vide, hvorledes et måltid til ti øre har smagt. De mange fattige i storbyerne gav anledning til, at mange private og foreninger gav sig af med at hjælpe fattige.

Frelsens Hær startede sin virksomhed i Danmark den 8. maj 1887. I 1930'erne var der stor arbejdsløshed, men allerede i 1928 åbnede hjælpekordegn Hans Christian Kofoed de første lokaler, hvor han ville yde mennesker i social nød hjælp. Fra disse to institutioner er en række pengetegn kendt, og historien om tegnene og brugen af disse vil komme i en senere artikel i Årbog for Svendborg & Omegns Museum.

 

Slagelse Dampkjøkken

I. C. Daugaard har givet følgende oplysninger om dampkøkkenet til Vilhelm Bergsøe; oplysningerne er dateret den 11. marts 1887:

Slagelse Dampkjøkken blev startet af H. M. Daugaard den 8. oktober 1859 og blev, med stadige tab, drevet indtil februar 1862, hvor driften ophørte. Dampkøkkenet var beregnet med en daglig omsætning på 1.000-2.000 portioner. Dette optimistiske tal holdt slet ikke, den daglige omsætning var på 130-200 portioner, da driften ophørte. Der var to tegn i brug, et med hul, som gjaldt for 10 skilling og maden ud af huset; tegnet uden hul gjaldt for 12 skilling og maden i huset med brød og øl.

Tilberedningen af maden foregik i fire gryder, en på 500 potter og tre på 200 potter. En gryde bestod af "to gryder med mellemrum til dampen". Tilvirkningen tog godt 1/2 time.

I foråret 1864 blev dampkøkkenet solgt til Børne-Commissionen i København, der gav det til hæren, som dengang lå på Als. Dampkøkkenet blev opbygget i Sønderborg og kom til at virke godt 8 dage. Ved Sønderborgs bombardement gik en bombe igennem taget, knuste låget på den store gryde og ødelagde hele køkkenet.

 

Betalingstegnene

Følgende steder har der været brugt betalingstegn i dampkøkkener:

Fra V. Christesens prægeanstalt blev af medaljør E Schmalfeldt skåret en række meget smukke stempler til dampkøkkentegnene. Nævnes kan følgende: J. F. Johansen & Co., H. M. Daugaard, Slagelse, I. C. Dahlerup, Odense Dampkjøkken. Tegnene fra L. M. Dahms, København, er givetvis fra Tyskland. Tegnene fra dette dampkøkken er ikke så almindelige, men ofte er de i pæn stand, hvilket tyder på, at de ikke har været i brug. Dette gælder ikke tegnet med 10 som værdi, det er slidt.

 

Dronningens Tværgade Kaffe- og Spisehus

Af dampkøkken/spisehus-tegnene er det tegnene fra Dronningens Tværgade, der er flest typer af. Vilhelm Bergsøe skriver om disse tegn: "Alle disse tegn har værditallet indslået i midten. Det var ejernes mening, at hvert tegn skulle svare til mad/drikke. Dette viste sig at være ganske upraktisk, og disse tegn blev hurtigt indsmeltet og erstattedes af andre. De er som følge heraf meget sjældne, idet der kun findes fire fuldstændige sæt, nemlig i Myntkabinettet, i Bergsøes samling og i general C. T. Jørgensens og overpostkontrollør W. Mørcks samlinger".

Tegnene. Tekst og tal er indslået. Det indslåede beløb gælder for ører.

Tegn i messing (for madvarer). Runde med værdierne 40, 30, 25 og 20. Kvadradratiske med skarpt afskårne hjørner med værdierne 16, 15, 10 og 6.

Tegn i forniklet jern (for ølsorter). Trekantede med lille afskæring af hjørnerne med hul over tallet, værdierne 16 og 10, med det højre hjørne retvinklet og værdien 10, med retvinklede hjørner og værdien 8.

Tegn i kobber (for andre drikkevarer). Runde med værdierne 16 og 14, kvadratiske samt med hul og værdien 10, sekskantede med værdierne 5, 6 og 10.

I alt 19 tegn var i brug, da spisesteder åbnede i 1887.

Disse mange forskellige mønttegn må have været umulige at arbejde med. Efter bare lidt cirkulation har snavs sikkert gjort det ene tegn svært at skelne fra det andet. Vilhelm Bergsøe nævner alle tegnene som ører, blandt møntsamlere har der været den opfattelse, at tegnene gjaldt for både skilling og ører. Dette kan imidlertid ikke passe, da tegnene først er taget i brug i 1887.

På Svendborg & Omegns Museum ligger nu 26 tegn fra forskellige dampkøkkener. 23 tegn er afbilledet i artiklen.

 

APPENDIX

Odense Dampkjøkken og Badeanstalt

Om Odense Dampkøkken skriver Illustreret Tidende i nr. 10, 1859: "Odense har alt i længere Tid udmærket sig fremfor de fleste af Danmarks Kjøbstæder, ved nye og almeennyttige Foretagender og er i flere Tilfælde endog ilet forud for Hovedstaden. Byen var saaledes den første i Danmark, der anlagde en efter den nyeste Tids Fordringer indrettet Vandledning, den første, der fik Gasbelysning, byggede Jernbroer osv. Det var derfor rimeligt, at den ikke vilde lade vente længe paa sig med at indrette et Dampkjøkken, og her er Odense atter gaaet et Skridt forud for de andre Provinsbyer, ved at sætte en Badeanstalt i forbindelse med Dampkjøkkenet. Det første Skridt til at skaffe dette gavnlige Foretagende Indgang gjordes ved en Discussion, som den 21de Februar d. Aar fandt Sted i Industriforeningens Møde der paa Stedet, angaaende Oprettelsen af et Dampkjøkken, forbundet med en Vadske- og Badeanstalt. Den driftige Apotheker Lotze indledede Discussionen, der endte med en almindelig Samstemning om det ønskelige i, at en saadan Anstalt blev oprettet i Odense, hvorhos det eenstemmigt overdroges Foreningens Bestyrelse at gjøre de fornødne Skridt til denne Plans Udførelse. Bestyrelsen indledede strax foreløbige Forhandlinger i saa Henseende, lod Tegning og Overslag udføre af Civilingenieurerne English & Hanssen, men havde mange Vanskeligheder at overvinde, saa at den først den 8de Juli, efterat Directionen for Fyens Stifts Sparekasse, med sin sædvanlige Redebonhed til at understøtte almeennyttige øiemed, havde lovet sin Bistand til at forskaffe en Prioritet i Anlægget, kunde indbyde til Actietegning. Denne havde strax en saadan Fremgang, at der i et Par Dage var tegnet Actier for omtrent 4000 Rdlr. Den 20de f.M. holdt Actiehaverne det første Møde, paa hvilket Hr. Lotze havde den Tilfredsstillelse at kunne meddele, at der kun manglede et Par Hundrede Daler af den fornødne Sum, 21.000 Rdlr.; samt at Arbeidet uopholdeligt kunde sættes i Gang og fremmes saa hurtigt, at Anstalten antoges at kunne begynde sin Virksomhed den 1ste December. Paa dette Møde constitueredes en "Forening for Odense Dampkjøkken og Badeanstalt" (man havde allerede tidligere givet Afkald paa Vadskeanstalten, som mindre fornøden), samt valgtes en Bestyrelse af 5 Medlemmer, der fik Bemyndigelse til at kjøbe en Byggegrund og afslutte Contract med d'Herrer English og Hanssen.

Udførelsen og Ledningen af selve Anlægget overdroges saaledes disse Herrer, som ved flere offentlige Arbeider der paa Stedet (Vandledning, Gasværk, St. Albani-Broen) have vundet almindelig Tillid og Anerkjendelse; Contrahenterne lode Bygningsarbeidet udføre ved de virksomme og dygtige Entrepreneurer Hr. Muurmester A. F. Andersen, og Hr. Tømmermester R. Petersen; Kjedler, Apparater og Rørledning bleve forfærdigede af Fabrikanterne M. B. Allerup i Odense og H. English i Sønderborg. Anstalten, der er beliggende i det nye Quarter udenfor St. Albani-Broen, er fremstillet paa vedføiede Afbildning og indeholder Dampkjøkkenet med 2 Kogekjedler af 600 Potters og 2 af 400 Potters Størrelse; en Spisesal til 50 Personer; Badeanstalten med 12 Kamre og 2 Dampbade for Damer og Herrer, med Venteværelser samt de øvrige til Bedriften nødvendige Localer.

Kogekjedlerne og Apparaterne ere af en ny Construction, væsentlig forskjellig fra de andetsteds udførte. Badekamrenes Vægge ere af hvidlakeret Skifer; Speilrammer, Hylder og Hattekroge af Fajance. Alle Localerne opvarmes ved Damp, og der er sørget for en god Ventilation.

Ledningen af varmt og koldt Vand er ført til de forskjellige, til Kjøkkenet og Badene hørende Localer; et fuldstændigt underjordisk Afløbssystem fører Spildevandet til Aaen. Kjøkkenet begynder sin Virksomhed i disse Dage og Badeanstalten i Midten af Maaneden.

At dette Værk er bragt til en saa ønskelig Ende, skyldes fornemmelig den ovenfor omtalte, utrættelige Hr. Apotheker Lotzes Nidkjærhed og Iver for Odense Byes Bedste".

 

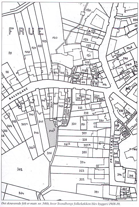
Svendborg Folkekøkken

I juli måned 1916 besluttede byrådet i Svendborg midlertidigt at oprette et folkekøkken i Pigeborgerskolens kælder, for at man kunne få klarhed over, hvor stort behovet for en sådan institution var, da tiderne på grund af dyrtiden var ugunstige for mange. Køkkenet blev drevet sammen med skolebespisningen og under samme køkkenchef.

Udvalget for folkekøkkenet henstillede i november samme år til byrådet, at der anskaffedes en 150 liter stor gasdampgryde, og i juni måned 1917 vedtog man at indrette et frostfrit kælderlokale i haven til brug for folkekøkkenet og at lade 1.000 kg stribet flæsk og spæk nedsalte til samme brug. Prisen for en portion mad blev fastsat til 40 øre.

I starten af 1918 blev prisen for en madportion nedsat til 25 øre, og samtidig blev det vedtaget at lade udarbejde planer for opførelse af en spisesal, der blev afsat kr. 30.000 til formålet. Bygningen skulle ligge i Skolegade, og tegningerne til byggeriet, der er dateret 23. marts 1918, findes stadig i Byhistorisk Arkiv i Svendborg. En måneds tid senere blev det vedtaget at indkøbe 600 kg klaret (afsmeltet og renset oksefedt) til folkekøkkenet, samt hvad det ellers måtte have brug for.

I slutningen af 1918 steg prisen for madportionerne igen til 55 øre, og i april 1919 var planerne til nybyggeriet klar, den samlede pris ville blive kr. 61,560,61, men halvdelen af udgifterne til bygningen og hele udgiften til inventar ville blive refunderet i henhold til lov om kommunale dyrtidsforanstaltninger.

Nøjagtig hvornår den nye bygning blev taget i brug, ved vi ikke, men i september 1919 bevilliger byrådet penge til en overskridelse af budgettet, og byggeriet er således afsluttet på dette tidspunkt. Blot en måned senere vedtager man at standse folkekøkkenets drift fra den 26. oktober samme år på grund af stigende driftsunderskud, og i august 1920 bliver man enige om, at Udvalget for Alderdomssager overtager folkekøkkenets inventar, hvorefter folkekøkkenets bygning udlejes af kommunen fra januar 1921.

(Årbog for Svendborg og Omegns Museum 1999 side 100-111)


Litteratur


 

Summary

The term "steam kitchen" is well known in Denmark. With good reason, it is not associated with luxury. Steam or folk kitchens were meant to provide nutritious and inexpensive food for the poorest members of society. The idea of providing cheaply prepared food - steamed rather than fried or baked - originated in the 18th century with Benjamin Thompson, Count of Rumford. In the early 1800s many folk kitchens were built, particularly in Germany.

In Denmark the first kitchen was started in 1856 as Copenhagen Steam Kitchen. Vilhelm Bergsøe described the kitchens' beginnings in "Danske Forenings-Tegn udstedte af Gilder, Coporationer og Lav fra Middelalder til Nutid" (Danish Company Tokens from guilds, corporations and unions): "Even before this time steam cooking as practiced abroad had come to Denmark, and in 1856 the Copenhagen Steam Kitchen was established. Its address was in Regnegade, its director named Hellmann. In 1859 a similar kitchen was established in Odense, primarily due to councillor of state Lotze's initiative, and in the same year merchant H. M. Daugaard began another one in Slagelse. In Aarhus another folk kitchen was established, in the unfortunately named street "In the grave", owned by L. C. Dahlerup. About the same time J. F. Johansen & Co. established a stearn kitchen in Studiestræde no. 88 (near the old Copenhagen baths). A third kitchen was started in Christianshavn, a fourth at Nørrebro and finally one at Borgergade in 1863.

Very little information is available about these folk kitchens, but the existence of the tokens issued for use there, collected by numismatists, allows some deductions about this aspect of a now-vanished social history. The kitchens and tokens will be described in this articie. The tokens now in the Svendborg County Museum are representative.

There are also rare tokens from coffeehouses and eateries. Vilhelm Bergsøe describes in detail tokens from Dronningens Tværgade in Copenhagen, catalogued under Copenhagen Coffeehouse and Eatery. A full set of 19 tokens like this is extremely unusual.

In 1883 a coffechouse and eatery was opened as a limited company. In 1896 this company ran 5 eateries. At that time a two-course meal with bread cost 38 øre. At the end of the century many other eateries were established. Soup kitchens sold 1 litre soup take-out, with meat and potatoes, for 10 øre. In 1900 soup meat cost 50 øre per pound at the butcher's, and a whole rye bread cost 45 øre. A craftsman's annual wage was about 500 crowns. How did a meal for 10 øre actually taste? The large numbers of poor people in the cities gave impetus to many private and organized charities to help the poor.

The Salvation Army began its mission in Denmark May 8,1887. In the 1930s unemployment was widespread, for many reasons. In 1928 Hans Christian Kofoed, assistant sacristan, opened the first premises to help the needy. These two institutions, which still exist, issued a number of tokens, which are preserved. They will be deseribed in a later article.

I. C. Daugaard has provided the following information on the steam kitchen in Slagelse to Vilhelm Bergsøe, dated March 11, 1887. H. M. Daugaard opened the Slagelse Steam Kitchen October 8, 1859. lt was run, with increasing losses, until it was closed in February 1862. The kitchen was designed to provide 1.000-1.200 meals a day. This optimistic number was never realized, as the daily volume was between 130-200 meals when the kitchen was closed. Two tokens were issued, one with a hole, with a value of 10 skilling, for take-away meals. The token without a hole was good for 12 skilling, used for a meal with bread and beer on the premises.

The food was prepared in four big kettles: one containing 500 litres, and three containing 200 litres. A kettle consisted of "two pots with a space in between for the steam". Preparation took a little over half an hour.

In the spring of 1864 the steam kitchen was sold to the Children's Commission in Copenhagen, which gave it to the Army, which at that time was encamped on the island of Als. The steam kitchen was set up again in Sønderborg, and was in function for about eight days. During the bombardment of Sønderborg a bomb went through the roof, exploded the lid of the large kettle, and destroyed the whole kitchen.

Tokens were used in the following steam kitchens:

Medallist E Schmahlfeldt made a number of beautifully cut die-stamps for steam kitchen tokens for V. Christesen's relief-printing works, among them J. E Johansen & Co., H. M. Daugaard Slagelse, I. C. Dahlerup, and Odense Steam Kitchen.

The tokens from L. M. Dahms, Copenhagen, are undoubtedly German. They are rare, but often in good condition, which indicates they were not used. This does not apply to the token with the value 10, which has been used.

Tokens from combined steam kitchens and eating-houses are the most numerous. Vilhelm Bergsøe writes: "all these tokens have their value stamped in the middle. The owners' intentions were that each token was to represent one course or one drink. This turned out not to be practical, and these tokens were soon collected, melted down, and replaced with others. They are thus very rare and only four complete sets exist, namely in the Coin Cabinet and the collections of Bergsøe, Jørgensen (general C. T. Jørgensen) and Mørck (postal controller W Mørck)."

The tokens: text and numbers are stamped. The numbers stand for øre-amounts.

Brass tokens for food. Round tokens with denominations 40, 30, 25 and 20. The square tokens with sharply cut corners have denominations 16, 15, 10, and 6.

Nickel-plated iron tokens (for types of beer). Triangular tokens with the corners slightly cut, with a hole over the number. Denominations 16 and 10. With a right-angled right corner, 10. With two right-angled corners, 8.

Copper token (for other drinks). Round, denominations 16, 14. Square with a hole on both sides, 10. Hexagonal, 5, 6, 10.

Nineteen tokens in all existed when Dronningens Tværgade eating house opened in 1887.

lt must have been impossible to accommodate so many tokens. Atter just short cirkulation the tokens were probably too dirty to be able to distinguish the denominations. Vilhelm Bergsøe describes them all as øre-amounts. Numismatists have previously regarded them as both skilling and øre amounts, though this is not possible, the tokens being introduced in 1887.

The Svendborg County Museum now has 26 tokens, illustrated here, from various steam kitchens.


Tilbage til Dansk Mønt